AS A REMINDER, ALL DUES MUST BE UP TO DATE IN ORDER TO VOTE AT THE SPECIAL MEETING ON MAY 7, 2026! IF YOU HAVEN'T PAID YOUR 2026 ANNUAL DUES YET, PLEASE GET THEM IN NOW.

Crosscreeks
Subdivision Plat Maps
These are the original plat maps that include the Surveyor's Certificate, the Proprietor's Certificate, as well as an amendment that removed a parcel of originally commercial land along Sterns Road (which now belongs to Crosscreeks Apartments).


Plat Map Page 1 Crosscreeks Surveyors Certificate


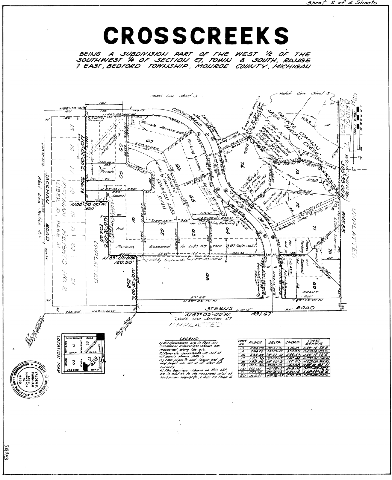
Plat Map Page 2 Crosscreeks Subdivision


Plat Map Page 3 Crosscreeks Subdivision


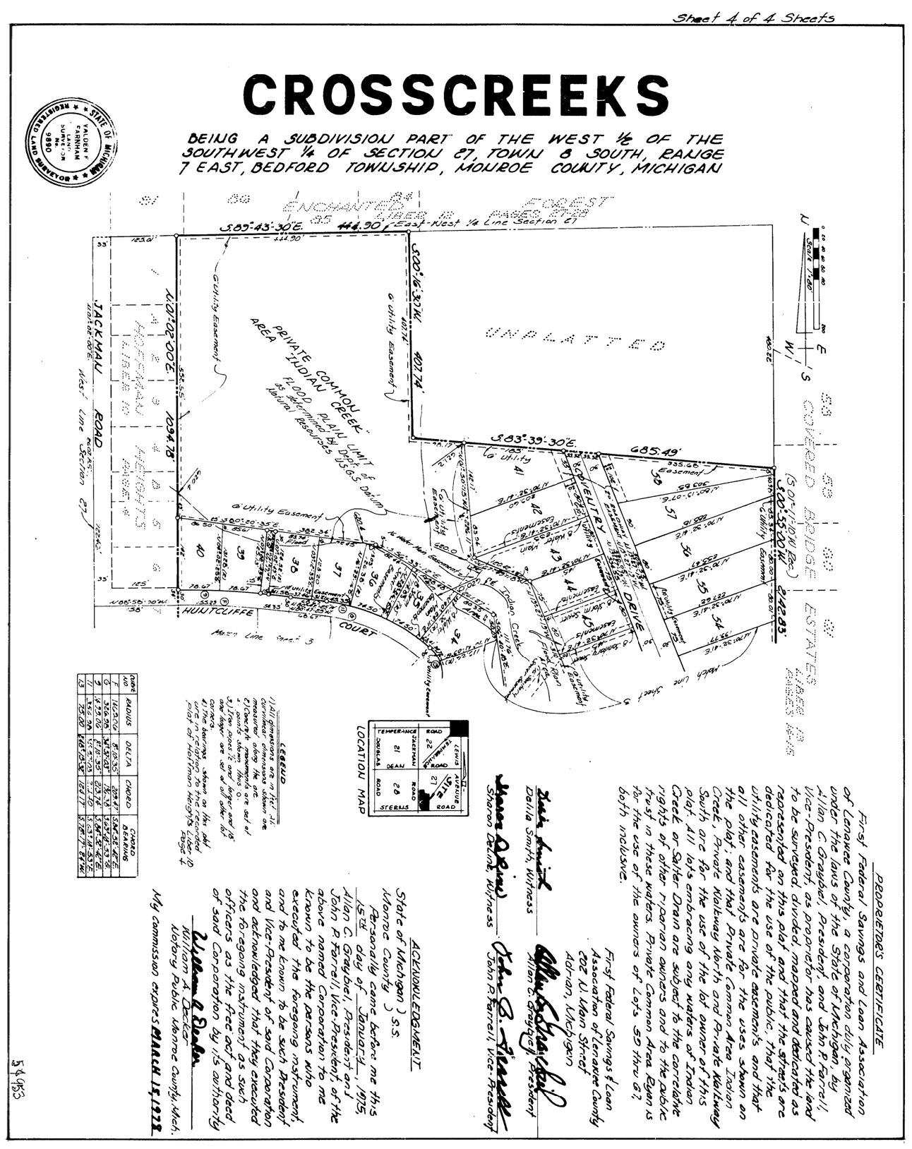
Plat Map Page 4 Crosscreeks Subdivision & Proprietor's Certificate


Plat Map Page 5 Crosscreeks Subdivision Amendment removing Commercial Land along Sterns Road
Connect
Stay informed and engaged with your community.
© 2026 | Crosscreeks Owners Association | All rights reserved
Want to get the most recent copy of the Association newsletter in your inbox?
